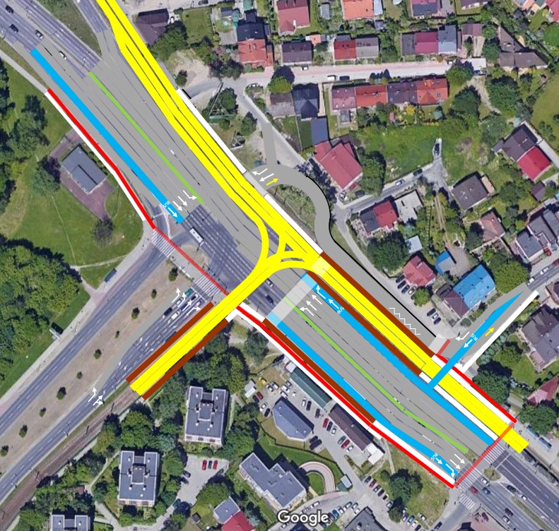
Postanowiłem trochę pogłówkować i poszukać takiego sposobu, aby przesunąć przystanki bliżej siebie bez zbytniej szkody dla mieszkańców - a jednocześnie poprawić przesiadki. Ideowo powstało mi coś takiego:

- 01.jpg (241.37 KiB) Przejrzano 4344 razy
Jakie są ważne zmiany:
a. przesunięcie wlotu Bieżanowskiej na wysokość Nowosądeckiej i powstanie nazwijmy to 'łącznicy' od nowego wlotu do przebiegu samej ulicy
b. przysunięcie przystanków od strony Prokocimia do tarczy skrzyżowania
c. dodanie przejścia dla pieszych przy tarczy skrzyżowania (ale koniecznie pozostawienie obecnego przejścia i przejazdu rowerowego na wysokości Wolskiej, inaczej droga do przystanków autobusowego i tramwajowych znacznie się wydłuży dla mieszkańców!)
d. zapewnienie osobnego toru do skrętu od centrum w stronę Piasków
e. dodanie pasa na wlocie od Nowosądeckiej do jazdy na wprost (w łącznicę do Bieżanowskiej)
f. do rozważenia zaślepienie wylotu ulicy Siostrzanej i wpięcie lokalnego układu do łącznicy od Bieżanowskiej
Dodatkowo, co przy okazji może udałoby się poprawić:
i. jeśli szerokość wylotu Bieżanowskiej pozwoli (oby!), to autobusy ("143" jadące od Bieżanowskiej) powinny mieć buspasową przełączkę, aby mieć możliwość wjazdu na ten sam przystanek, co wszystkie pozostałe linie autobusowe jadące od Prokocimia do centrum - to świetnie poprawi przesiadki "143" -> centrum
ii. w przeciwną stronę, przystanek dla "143" powinien funkcjonować na wyspie przystanku tramwajowego, dzięki czemu będzie dużo bliżej i dużo wygodniej się przesiąść
Są też pewne uboczne zmiany, które (dla ruchu samochodowego, nie oszukujmy się) mogą być nieco niekorzystne. Wynikają z tego, że chcąc przysunąć przystanki tramwajowe od strony Prokocimia do tarczy skrzyżowania - trzeba na nie wygospodarować miejsce w przekroju ulicy. Ponadto dochodzi łącznica. Jest tam ok. 55 metrów w przekroju do dyspozycji. No i prawdopodobnie zatem musi zniknąć jeden pas w stronę Prokocimia. Natomiast nie powinien być to duży ogranicznik, bo lewy pas w godzinach szczytu i tak zwykle stoi zablokowany przez oczekujących na skręt w Bieżanowską i realnie do jazdy na wprost pozostają właśnie dwa pasy. A poza godzinami szczytu dwa pasy na pewno wystarczą (plus oczywiście będzie buspas dla autobusów).
Oczywiście nie mierzyłem wszystkiego, nie analizowałem w pełni szczegółowo. Przedstawiam jako ideę pod dyskusję - aby pogodzić potrzeby mieszkańców i możliwości przesiadek.