Strona 49 z 54
Re: Układ linii po otwarciu trasy do Górki Narodowej
: 12 mar 2024, 10:22
autor: PKPfan
elot360 pisze: 12 mar 2024, 8:14
Natomiast już z czystej ciekawości pytam, czy aby zwiększenie pojemności taboru albo częstotliwości na obecnym taborze (a może jedno i drugie jest wskazane) nie rozwiązuje większej ilości problemów komunikacyjnych, od wydłużenia linii 17 do KG?
Obsadzenie 18 i 50 w całości taborem 43m na pewno by pomogło, tylko że... tak się nie stanie! A wszystko przez to, że obecnie jest go zbyt mało no i przez krótkowzroczność miasta, które raczej nigdy nie przewidziało w kontekście 18 obsługi jej docelowo taborem 43m, co widać po obecnym przetargu. Nawet jeśli tabor 43m na 18 ostatecznie się znajdzie, to braknie go na 50 albo 52 (albo 4 czy 24). Tak więc kołdra ciągle będzie za krótka, ponieważ wszystkie wymienione linie takiego długiego taboru potrzebują, ale niestety nawet po dostawie 30szt. z obecnego przetargu w końcowym rozrachunku będzie go i tak zbyt mało, by wystarczyło go do pokrycia wszystkich tych linii...

Poza tym największym przekleństwem 18, jak i wszystkich linii kursujących na Czerwone Maki, jest wielkość tamtejszej pętli, co ogranicza pole do wzrostu częstotliwości kursowania - gdyby tylko ta pętla była wielkości swojej odpowiedniczki na GN, a miejsca na prawdę było wtedy pod dostatkiem, to dzisiaj nie byłoby żadnego kłopotu (pod warunkiem znalezienia finansów), by i 18 i 52 kursowały co 5min, co rozwiązałoby wiele problemów nie tylko na południu Krakowa, ale także i po przeciwnej stronie miasta. Jedna mała pętla i jak utrudnia funkcjonowanie komunikacji tramwajowej w wielu częściach Krakowa.. W obecnej sytuacji pozostaje tylko współczuć pasażerom 18 w dni robocze, bo na horyzoncie nie widać absolutnie żadnej nadziei na poprawę (szczególnie dla jej południowego odcinka) - no chyba, że im poprawimy, ale komuś innemu pogorszymy... Natomiast w dni wolne rzeczywiście mogłaby zacząć kursować z f~10min, co ktoś już wcześniej postulował.
elot360 pisze: 12 mar 2024, 8:14
Podtrzymuję swoją opinię że wydłużanie czegokolwiek do GN nie jest potrzebne, ze względu na wyraźną zmianę dogęszczenia pasażerów dopiero na przystanku Pachońskiego P+R.
A jeszcze co do obecnych problemów z tłokiem w 18 i 50, to nie rozwiąże ich na pewno samo wydłużenie 17 jedynie do KG, bo niby jakim "game-changerem" byłyby te zaledwie cztery kursy/h na stosunkowo krótkim odcinku? Tutaj niestety jedynym rozwiązaniem dającym widoczną poprawę w krótkim czasie będzie wydłużenie całego tandemu 17 i 19 aż do GN przynajmniej w godzinach szczytu... To wyraźne dogęszczenie pasażerów w 18 i 50, o którym piszesz, to jest już co najmniej od Białoprądnickiej/Górnickiego - od Pachońskiego P+R to już są zazwyczaj "sardynki w puszcze". A już nieraz widziałem jak ludzie na tym przystanku zostawali, bo zwyczajnie nie byli w stanie wejść do środka...
Re: Układ linii po otwarciu trasy do Górki Narodowej
: 12 mar 2024, 10:43
autor: Kaszmir
PKPfan pisze: 12 mar 2024, 10:22Poza tym największym przekleństwem 18, jak i wszystkich linii kursujących na Czerwone Maki, jest wielkość tamtejszej pętli, co ogranicza pole do wzrostu częstotliwości kursowania - gdyby tylko ta pętla była wielkości swojej odpowiedniczki na GN, a miejsca na prawdę było wtedy pod dostatkiem, to dzisiaj nie byłoby żadnego kłopotu (pod warunkiem znalezienia finansów), by i 18 i 52 kursowały co 5min, co rozwiązałoby wiele problemów nie tylko na południu Krakowa, ale także i po przeciwnej stronie miasta.
Tak. Inna sprawa, że mała pojemność pętli na Czerwonych Makach jest dobrą wymówką właśnie by nie np. nie oddawać dawnego f5 na "52". Przecież gdyby tylko o to szło (a nie o pieniądze) to nic nie stoi na przeszkodzie, by w zamian wydłużyć "49" do Bieńczyc, albo i Piastów gdyby się zmieściła. Na odcinku huckim największe zapełnienia "52" ma do DH Wanda więc "49" by się idealnie wstrzeliło. Co więcej, "9+49" i "52" mogłyby wtedy pojechać w takcie co 3-4 minuty, co nawet byłoby bardziej regularne niż dawny układ f5 ("52") + f15 ("9"). Zaznaczę, to nie jest proszenie o nowe kursy, a jedynie oddanie tych które zabrano. Sugerowałem to rozwiązanie dyr. ZTP.
PKPfan pisze: 12 mar 2024, 10:22A jeszcze co do obecnych problemów z tłokiem w 18 i 50, to nie rozwiąże ich na pewno samo wydłużenie 17 jedynie do KG, bo niby jakim "game-changerem" byłyby te zaledwie cztery kursy/h na stosunkowo krótkim odcinku?
Trochę by pomogły dzięki koordynacji z "19". Obecnie ta druga jest "samotna" na Krowodrzy więc tak jak piszesz, samo f15 niewiele zmienia. Za to "17+19" już dałyby f7,5. Niemniej oczywiście zgadzam się, że docelowym rozwiązaniem powinno być "17+19" do Górki Narodowej

Re: Układ linii po otwarciu trasy do Górki Narodowej
: 12 mar 2024, 11:08
autor: judash
Zastanawiam się jakby wyglądałaby teraz siatka, gdyby Majchrowski nie zgodził się na zmiany Saponia w 2012 (gdy oddawano CM).
Re: Układ linii po otwarciu trasy do Górki Narodowej
: 12 mar 2024, 11:20
autor: elot360
PKPfan pisze: 12 mar 2024, 10:22
A jeszcze co do obecnych problemów z tłokiem w 18 i 50, to nie rozwiąże ich na pewno samo wydłużenie 17 jedynie do KG, bo niby jakim "game-changerem" byłyby te zaledwie cztery kursy/h na stosunkowo krótkim odcinku? Tutaj niestety jedynym rozwiązaniem dającym widoczną poprawę w krótkim czasie będzie wydłużenie całego tandemu 17 i 19 aż do GN przynajmniej w godzinach szczytu... To wyraźne dogęszczenie pasażerów w 18 i 50, o którym piszesz, to jest już co najmniej od Białoprądnickiej/Górnickiego - od Pachońskiego P+R to już są zazwyczaj "sardynki w puszcze". A już nieraz widziałem jak ludzie na tym przystanku zostawali, bo zwyczajnie nie byli w stanie wejść do środka...
Jeśli już tak na to patrzymy to powiedziałbym nawet że Siewna Wiadukt już robi "robotę", parę razy zdarzyło mi się obserwować ruch w kierunku centrum w godzinach rannych i mimo tramwaju "co chwilę" zawsze się zbierała przyzwoita grupka na przystanku.
Może rzeczywiście przekonam się do idei wydłużenia 17+19 aż do GN.
Swoją drogą, przystanek Górnickiego z całego pakietu tych na nowej trasie ma chyba najgorsze wyniki dobowej wymiany pasażerów, nie zawsze widzę by ktokolwiek z niego korzystał a jeżeli już to na palcach jednej ręki mogę policzyć kto wsiadł i wysiadł. Co mnie trochę dziwi, bo lokalizacja wydawała mi się idealna do ograniczenia "wykluczenia transportowego". Może to tylko moje złudne wrażenie.
Re: Układ linii po otwarciu trasy do Górki Narodowej
: 12 mar 2024, 11:40
autor: suchy
elot360 pisze: 12 mar 2024, 11:20
Swoją drogą, przystanek Górnickiego z całego pakietu tych na nowej trasie ma chyba najgorsze wyniki dobowej wymiany pasażerów, nie zawsze widzę by ktokolwiek z niego korzystał a jeżeli już to na palcach jednej ręki mogę policzyć kto wsiadł i wysiadł. Co mnie trochę dziwi, bo lokalizacja wydawała mi się idealna do ograniczenia "wykluczenia transportowego". Może to tylko moje złudne wrażenie.
No ale w większości w okolicy tego przystanku masz domki jednorodzinne (Górnickiego, Herwina-Piątka, Lechonia). Jedynie po stronie Clepardii masz tuż przy przystanku 3 wieżowce i 2 bloki 4-piętrowe (którym jest bliżej tutaj niż na Siewną).
Przy czym z jednego najdalszego wieżowca oraz z dalszych klatek tych niższych bloków mają porównywalny dystans do obu przystanków - więc część osób z przyzwyczajenia może chodzić na Siewną (bo tam dawniej chodzili na autobus).
Re: Układ linii po otwarciu trasy do Górki Narodowej
: 12 mar 2024, 12:51
autor: fysztof
PKPfan pisze: 12 mar 2024, 10:22
Poza tym największym przekleństwem 18, jak i wszystkich linii kursujących na Czerwone Maki, jest wielkość tamtejszej pętli, co ogranicza pole do wzrostu częstotliwości kursowania - gdyby tylko ta pętla była wielkości swojej odpowiedniczki na GN, a miejsca na prawdę było wtedy pod dostatkiem, to dzisiaj nie byłoby żadnego kłopotu (...)
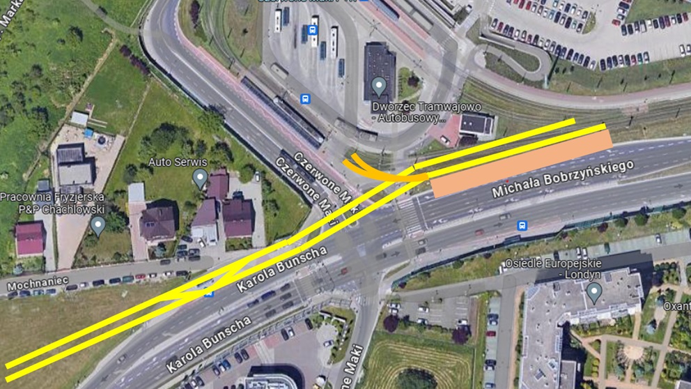
Nie do końca w tym wątku, ale tymczasowe rozwiązanie wcale nie jest takie drogie. Skoro i tak planowane jest przedłużenie linii dalej, to pierwsze kilkaset metrów można już zaprojektować i zrobić - i wykorzystać wraz z przejazdówką jako tory odstawcze.

- cm.jpg (233.5 KiB) Przejrzano 8401 razy
Obecne linie "11" i "17" dzięki taborowi dwukierunkowemu mogłyby zjeżdżać właśnie na nowe tory za ulicą Czerwone Maki. Peron dla wsiadających można zrobić kosztem pasa do prawoskrętu (bez jaj, nie jest tam niezbędny). Peron dla wysiadających z "11" i "17" już istnieje, przed rozjazdami. Każda z linii "11" i "17" dostaje swój tor. Na pętli natomiast również każda z pozostałych dwóch linii "18" i "52" dostaje swój tor i mogą spokojnie wrócić do f=5.
Bujamy się z za małą pętlą od 12 lat... To już można było dawno rozwiązać. I wcale nie tak dużym kosztem.
Re: Układ linii po otwarciu trasy do Górki Narodowej
: 30 lip 2024, 13:01
autor: PKPfan
i wiadomo czy coś się dzieje w tym temacie?
Re: Układ linii po otwarciu trasy do Górki Narodowej
: 31 lip 2024, 0:23
autor: Kaszmir
PKPfan pisze: 30 lip 2024, 13:01i wiadomo czy coś się dzieje w tym temacie?
Testują połączenie za pomocą obecnej linii tymczasowej "75". Wszak tunel z powrotem otwarty więc zasadniczo nie ma powodu dlaczego "75" znów nie stało się linią "44" do Dworca Towarowego. Zostawili "75" właśnie by wybadać potoki.
Re: Układ linii po otwarciu trasy do Górki Narodowej
: 01 sie 2024, 22:19
autor: PKPfan
Miejmy nadzieję, że po wakacjach tą trzecią linią dzienną na GN (o ile takowa w ogóle pozostanie) to będzie jednak 17 albo 19 a nie 44...
Re: Układ linii po otwarciu trasy do Górki Narodowej
: 02 sie 2024, 2:50
autor: Scania_9640
PKPfan pisze: 01 sie 2024, 22:19
Miejmy nadzieję, że po wakacjach tą trzecią linią dzienną na GN (o ile takowa w ogóle pozostanie) to będzie jednak 17 albo 19 a nie 44...
Ja uważam że lepiej żeby zostało właśnie 44 bo wspomoże zapchaną 18 do I obwodnicy a tam są właśnie największe potoki.
Re: Układ linii po otwarciu trasy do Górki Narodowej
: 02 sie 2024, 8:38
autor: kot_feliks
No tylko problem z 44 jest taki, że o ile z GN nawet spoko, o tyle jadąc na GN z I obwodnicy, każda z tych linii (18 i 44) ma na niej inne przystanki....
I szczerze wątpię, żeby ktoś szedł specjalnie na 44, mając 18 co 7,5 minuty...
Re: Układ linii po otwarciu trasy do Górki Narodowej
: 02 sie 2024, 9:08
autor: fysztof
Zgadzam się z przedmówcą. 44 nie będzie realnym wsparciem dla 18 i jeśli to miałoby być to wybrane rozwiązanie - to będzie straconą szansą na realną poprawę. Raz - właśnie brak wspólnych przystanków z linią, którą ma odciążyć. Dwa - ma o wiele gorszy tabor, co wbrew pozorom też nie jest bez znaczenia. Jak masz do wyboru - pojadę 18 z klimą i niskim wejściem a pojadę 44 starym dusznym gruchotem - to niemała część osób jednak wybierze opcję 18. Trzy - przedłużenie 17 ma potencjał w postaci dociągnięcia tam kiedyś 19. Przedłużenie 44 nie ma żadnej dalszej perspektywy...
Re: Układ linii po otwarciu trasy do Górki Narodowej
: 02 sie 2024, 9:51
autor: Karol1994
"44" to powinna wrócić na ciąg bronowicki i nigdzie indziej. W ogóle - wkurzające jest to, że jeszcze kiedyś z Bronowic Małych były dwie częste linie skręcające w kierunku Teatru Słowackiego (wówczas "4" i "13" z f-10, potem "4" i "24" również z f-10) co dawało 12p/h), a teraz w tej relacji mamy dwie linie co 15 minut ("4" oraz "24") co daje razem 8p/h. Jakby nie patrzeć - najważniejsza relacja z Bronowic Małych. A jeżeli coś ma trafić na Górkę Narodową - to tylko "17"/"19".
A żeby odciążyć "18" z Górki Narodowej, to taka linia musiałaby się z nią zdublować albo do Placu Wszystkich Świętych, gdzie mogłaby skręcić w lewo i pojechać Starowiślną, albo w prawo do Stradomia przez Wawel, gdzie mogłaby pojechać w kierunku Korony a potem... może do Prokocimia? Lub Kurdwanowa - i taka linia miałaby dwuzadaniowy charakter. Raz - że ciąg kurdwanowski odzyskałby połączenie z Koroną, a dwa - byłoby wsparcie dla "18". Tylko wiadomo - pieniądze.
Re: Układ linii po otwarciu trasy do Górki Narodowej
: 02 sie 2024, 10:56
autor: PKPfan
Karol1994 pisze: 02 sie 2024, 9:51
"44" to powinna wrócić na ciąg bronowicki i nigdzie indziej. W ogóle - wkurzające jest to, że jeszcze kiedyś z Bronowic Małych były dwie częste linie skręcające w kierunku Teatru Słowackiego (wówczas "4" i "13" z f-10, potem "4" i "24" również z f-10) co dawało 12p/h), a teraz w tej relacji mamy dwie linie co 15 minut ("4" oraz "24") co daje razem 8p/h. Jakby nie patrzeć - najważniejsza relacja z Bronowic Małych. A jeżeli coś ma trafić na Górkę Narodową - to tylko "17"/"19".
A żeby odciążyć "18" z Górki Narodowej, to taka linia musiałaby się z nią zdublować albo do Placu Wszystkich Świętych, gdzie mogłaby skręcić w lewo i pojechać Starowiślną, albo w prawo do Stradomia przez Wawel, gdzie mogłaby pojechać w kierunku Korony a potem... może do Prokocimia? Lub Kurdwanowa - i taka linia miałaby dwuzadaniowy charakter. Raz - że ciąg kurdwanowski odzyskałby połączenie z Koroną, a dwa - byłoby wsparcie dla "18". Tylko wiadomo - pieniądze.
Nawet gdyby znalazły się pieniądze, to zmieściłbyś tego wszystkiego między KG a DT tj. by oprócz do obecnych tam normalnie 3, 5, 18, 19 i 50 dorzucić 17 i jeszcze jakąś kolejną linię, która odciążyłaby 18 (czyli takowa musiałaby miec prawdopodobnie także f~7,5)...
Re: Układ linii po otwarciu trasy do Górki Narodowej
: 02 sie 2024, 14:33
autor: fysztof
PKPfan pisze: 02 sie 2024, 10:56
Nawet gdyby znalazły się pieniądze, to zmieściłbyś tego wszystkiego między KG a DT tj. by oprócz do obecnych tam normalnie 3, 5, 18, 19 i 50 dorzucić 17 i jeszcze jakąś kolejną linię, która odciążyłaby 18 (czyli takowa musiałaby miec prawdopodobnie także f~7,5)...
Czy na pewno by się nie zmieściły? Przed otwarciem estakady nad dworcem w Płaszowie liczba kursów przez Wielicką (doliczając 502) potrafiła przekraczać 40/h - i dawało radę.
Na odcinku DT - KG jest obecnie 36 kursów/h w szczycie. Myślę, że co najmniej jedna linia z f=7,5 spokojnie się tam zmieści - tym bardziej, że nie ma za nadto innych wąskich gardeł. Jedyne większe skrzyżowanie z Bratysławską. A tak to wydzielone torowisko. Jeżeli miasto myśli o odnodze na Azory, to wręcz musi realnie wzrosnąć przepustowość tego odcinka w okolice 45 a nawet 50 kurs/h, bo inaczej tego nie widzę.
GN już ma 20 kursów/h, a będzie musiała mieć nawet 24 jeśli nie 28 kurs/h. Na Azorach trudno wyobrazić sobie mniej niż 16 kursów/h. Żeby przy tym KG dodać, to przynajmniej jedna linia będzie tam - pytanie czy 4 czy 8 kursów na/h. Ale z tych wyliczeń absolutne sensowne minimum jakie jest, to 24+16+4 = 44 kursy/h. A 48-52 też miałyby uzasadnienie (w podziale 28+16+8 GN+AZ+KG).